Siêu bão Sinlaku vừa hình thành di chuyển thế nào?
Bão Sinlaku tối 12/4 đã mạnh lên siêu bão với sức gió đạt cấp 16, giật trên cấp 17. Đây là 1 trong 3 cơn bão mạnh nhất trong tháng 4 kể từ năm 1977.

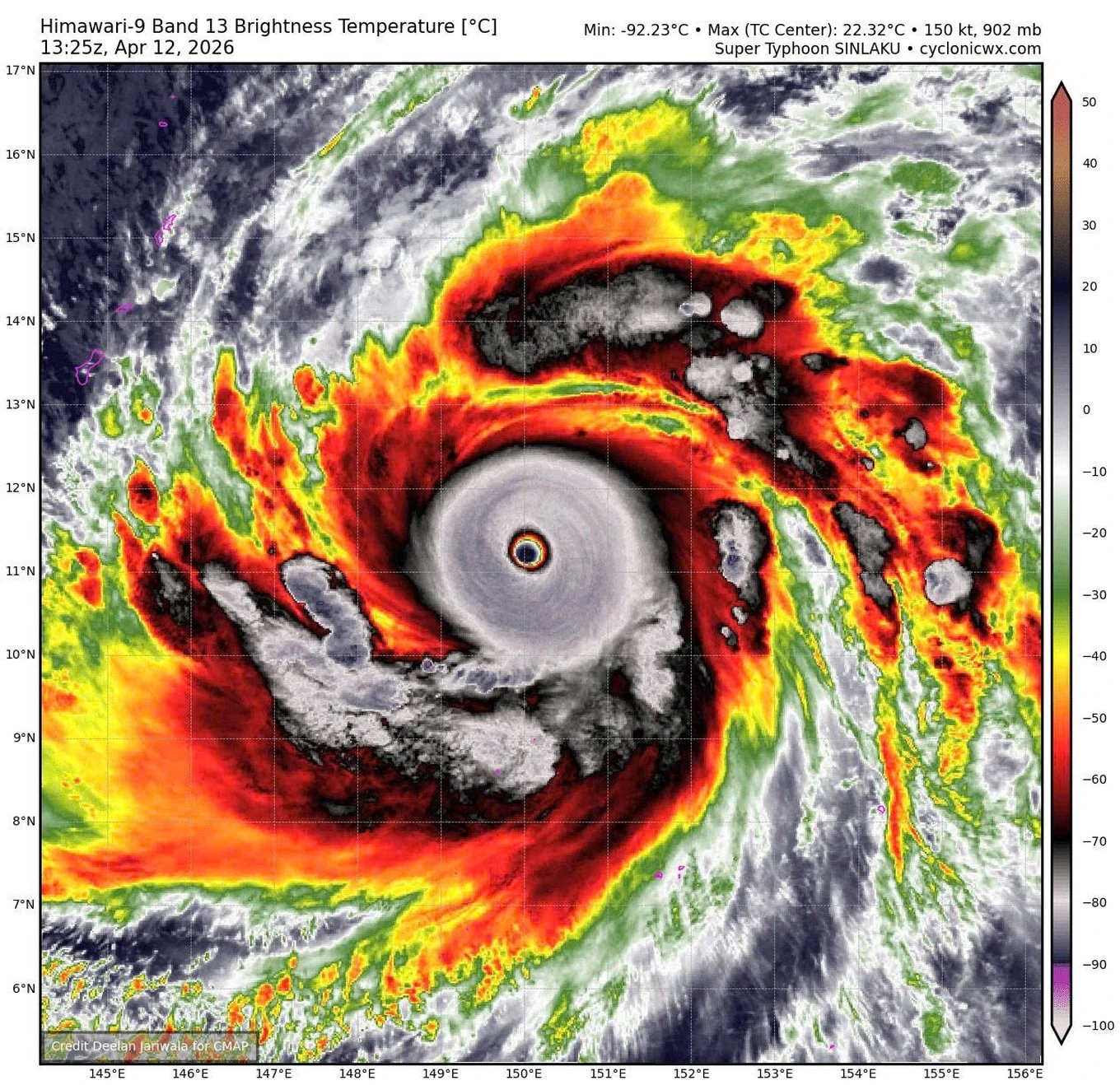
Mắt siêu bão Sinlaku (Ảnh: NCHMF).
Tối 12/4, Trung tâm Dự báo khí tượng thủy văn quốc gia quốc gia cho biết bão Sinlaku đã mạnh lên siêu bão với sức gió đạt cấp 16, giật trên cấp 17.
Theo cơ quan khí tượng, đây là cơn bão đầu tiên trong năm 2026 đạt cường độ này, đồng thời là lần đầu xuất hiện trong tháng 4 kể từ bão Surigae (2021) và chỉ là lần thứ 3 kể từ năm 1977.
Hiện tại, Sinlaku cũng là cơn bão mạnh nhất thế giới trong năm 2026.
Cơ quan khí tượng nhận định cơn bão này mạnh lên nhanh do các điều kiện môi trường trên vùng biển thuận lợi như nhiệt độ mặt nước biển cao, thông lượng nhiệt từ đại dương dồi dào, độ đứt gió tầng cao yếu.
Theo dự báo, siêu bão Sinlaku có thể sẽ đổi hướng di chuyển lên phía Bắc, sau đó nhiều khả năng sẽ tiếp tục đổi hướng một lần nữa thành hướng Bắc Đông Bắc vào khoảng ngày 16-17/4, khi di chuyển tới vùng biển phía Đông của Nhật Bản và cường độ sẽ giảm dần.
Cơ quan khí tượng cho biết hiện tại, các dự báo bão đều cho thấy bão sẽ không có khả năng đi vào khu vực Biển Đông.
Bạch An - Báo Dân Trí





Bình luận
Xin vui lòng gõ tiếng Việt có dấu