Bắc Bộ trở rét từ đêm 12/11

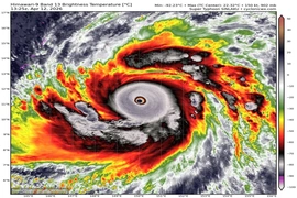
(Baothanhhoa.vn) - Ngày 10/11, Văn phòng Thường trực Ban Chỉ đạo Quốc gia về Phòng, Chống Thiên tai đã ban hành văn bản gửi Ban Chỉ huy Phòng, Chống Thiên tai và Tìm kiếm Cứu nạn các tỉnh, thành phố khu vực Bắc Bộ và Trung Bộ về việc chủ động ứng phó với gió mùa Đông Bắc , gió mạnh trên biển và mưa lớn.

4bum4bqhV+G7rl3DoiNpaeG7nOG7rGbDjeG6o8Otw6Iw4busxajhu6k6XeG7ruG7qeG6ueG7rsOtaOG7g+G7rmgxw63hu67DrW7hu64gNeG6peG7rldYL1dX4bumL+G6oVfFqOG7pmbhu65dw6IjaWnhu5zhu6xm4bqgMCMi4busxajhuqbDoCTDtOG7rldWL1dXVOG7ruG7jD/huqfhu65m4bqh4bqr4bqnw6Dhu67DjeG6oWzhu4HhuqfDoOG7rsOtaG9d4buu4bupI+G6p+G7ruG7q+G6oeG6seG7riAl4bqt4buuR8OsZV3hu67DoOG6oyPhu67hu4034buuRuG6oeG6q+G6p8OgVOG7ruG7q+G6oWXhuqfDoOG7rsON4bqh4bqjNeG6p+G7rsOtI+G6o+G7riAm4buuWyPhuqfhu67huqEk4bqn4bqh4buu4buNP+G6p+G7rlsq4bqn4buuw6DDs+G6o+G7ruG7qSPhuqfhu67hu6vhuqHhurHhu67huqHDrMO04buuRuG6oeG6q+G6p8OgVOG7ruG7q+G6oWXhuqfDoOG7rsON4bqh4bqjNeG6p+G7rsOtI+G6o+G7ruG7jSThu67DjcSD4bql4buu4bq14bqjNuG6peG7ruG7q23DrOG7ruG6pyXhuqfhu65dPV3hu67DreG6seG6p+G6oVThu67DreG6oSThuqfhuqHhu65m4bqhZeG7ruG6teG6ocOs4buu4buNb13hu67hu6k6XeG7ruG7qeG6ueG7ruG7jSThu67DjWjDrOG6p8Og4buu4bup4bq54buu4buNN+G7ruG7jeG6ozhd4buuXeG6oWrhu64g4bq54bqnw6Dhu65t4bqnw6Dhu65m4bqh4bqp4buu4buN4bq/4bqj4buuw6DhuqPhuqnhu67huqXhu4kj4buu4butxJHhuqfDoOG7ruG7qTpd4buuVOG7rsOg4bqj4bqp4buu4bqlJeG6p+G6oeG7rsOtaDXhuqfhu65b4bqjOeG6p+G7ruG7jSThu67huqVsI+G7rsOi4bq/4bqnVeG7pi9mxajhu6Zm4buuXcOiI2lp4buc4busZuG7qeG6rSLDtOG7rMWo4bum4bqj4bqlw6Dhu65dw6IjaWnhu5zhu6wiw63huqHDrOG6pVvhu67huqPhu6sw4bqnw60waOG7rOG7rmnDrcO0w6Iw4buc4bus4buP4bqjIsOt4bqhUuG7ruG7tFhWZsO1U+G7ruG6oTDhuqPDoOG6ocOtUuG7rllA4bu2ZsO1U+G7rOG7rmloXeG7nOG7rC8vXVVbI+G6rcOt4bqhI+G6p+G6oeG6oeG6rSNV4buN4bqnL+G6o+G6pcOgLyIwaeG6tcOt4bqtZi/huqcw4buPaS9YWcOd4buyL1fhu7bhu7Yi4buyV+G7sllAWMOdw63hu7bhu7RWWcOi4bu0LVdZWCJXV1dYV1jDncOtWOG7ssOdWMOi4bu2LSNV4buPMFtm4bus4buuI8Oiw63hu5zhu6zhu6k6XeG7ruG7qeG6ueG7rsOtaOG7g+G7rmgxw63hu67DrW7hu64gNeG6peG7rldYL1dX4bus4buu4buP4bqjIsOt4bqh4buc4bus4bu0WFbhu6zhu67huqEw4bqjw6DhuqHDreG7nOG7rFlA4bu24bus4buuL8Wo4bumL2bFqOG7pmbhu65dw6IjaWnhu5zhu6xm4burI2bDreG6o+G6reG6p+G7rMWo4buf4bqn4bqh4buu4bql4bqj4bqn4bqh4buu4bqhYiNV4buu4bqmw6DDrMOp4bqnUuG7ruG6ouG6p8OtMGjhuqcww63hu6YvZsWo4bumZuG7rl3DoiNpaeG7nOG7rGbhu6nhuq0iw7Thu6zFqMON4bqhMOG6reG7rsONaMOs4bqnw6Dhu67DrSjhuqXhu67hu7Fv4buuWz3huq3hu67hurThuqHDo+G7rsOtbOG7h+G6p8Og4buuw43huqFqw7Thu67hu40/4bqn4buuR8OsZV3hu67DoOG6oyNU4buuw61u4buuIDXhuqXhu65XWC9XV1Thu64i4bqt4buuKuG6p+G6oeG7ruG6oWzhu4PhuqfDoOG7rl1qI+G7ruG6teG6ocSR4bqnw6Dhu67hurXhuqHDo+G7rsOiJeG6p+G6oeG7ruG6pSXhuqfhuqFU4buu4bq14bqhw6zhu67hu41vXeG7ruG7qTpd4buu4bup4bq54buu4buNJOG7ruG7qTpd4buuw41ow6zhuqfDoOG7ruG7qeG6ueG7rsOtaOG7geG6o+G7rmgxw61U4buu4buN4buJ4bqnw6Dhu67huqfhu4vhuqPhu67hu6k6XeG7ruG7qeG6ueG7rl3huqnhu67huqfDquG6o+G7rmgxw63hu64gPuG6pVThu65oMcOt4buu4bqhJeG6o1Thu67hu43hu4nhuqfDoOG7ruG6p+G7i+G6o+G7rl0j4bqt4buuXeG6qeG7ruG6p8Oq4bqj4buuImzhur/huqPhu65XV+G7riDhurnhu67hu6tU4buu4bq14bqhKuG7ruG6pz/huqfDoOG7rsO1KsO04buuaCPhu67DomVdVOG7rmkxw61U4buu4bqlbCPhu64gPeG7ruG7jSThu67DoOG6o+G6qeG7rsOg4bqjPsOt4buu4bqlJeG6p+G6oVXhu67hurThuqHDrOG7ruG7jW9d4buu4bupOl3hu67DjWjDrOG6p8Og4buu4bup4bq54buu4buNJOG7rsONaMOs4bqnw6Dhu67DjWjDrOG6p8Og4buu4bup4bq54buuXeG6qeG7ruG6pWwj4buu4buNbiNU4buu4bqlbCPhu67DreG6rVThu65dxKld4buuW+G6ueG7rl3huqnhu67huqVsI+G7rmgpw63hu67DreG6reG7ruG7jSThu65d4bqr4bqn4buuXeG6qeG7ruG6teG6oSrhu67huqc/4bqnw6Dhu67hurUx4bqt4buuIiThuqNV4bumL2bFqOG7pmbhu65dw6IjaWnhu5zhu6xm4bup4bqtIsO04busxajDjW7hu65d4bqh4bqjN8Os4buuV1gvV1dU4buu4buN4bqv4bqn4bqh4buu4bupOl3hu67hu6nhurlU4buu4bupOl3hu67hu6nhuqM54bqn4buu4butxJHhuqfDoOG7rsOZWyPhuq3hu67DoMOp4bql4buu4buN4buJ4bqnw6Dhu65b4bqjOeG6p+G7ruG6teG6ocOs4buu4buNb13hu67huqDhuq0k4bqnw6Dhu65JI+G7pFThu67hu43hu4nhuqfDoOG7rlvhuqM54bqn4buuw61u4buuR8OsKuG6p8Og4buuw41o4bqv4buuIDbhuqfhu65Hw6wq4bqnw6Dhu67huqbDoCbhuqPhu67hu40k4buuZuG6ocOjI+G7ruG7qTpd4buu4bq14bqhw6zhu67hu41vXeG7rsOg4bqjw7Ij4buu4bup4bqjOeG6p+G7ruG7rcSR4bqnw6Dhu65d4bqp4buuw6DhuqPhuqnhu67hu63EkeG6p8Og4buu4bupOl3hu65dKWbhu67hu7Qt4bu4VOG7rsOg4bqjPsOt4buuXSlm4buu4bu4LUBV4bumL2bFqOG7pmbhu65dw6IjaWnhu5zhu6xm4bup4bqtIsO04busxajhu6054buuXeG6oWrhu64g4bq54bqnw6Dhu65t4bqnw6Dhu65m4bqh4bqp4buu4buN4bq/4bqj4buuw6DhuqPhuqnhu67huqXhu4kj4buu4butxJHhuqfDoOG7ruG7qTpdVOG7ruG6pWwj4buuw6Lhur/huqfhu67hurXDqOG6peG7rsOiZV1U4buuaTHDrVThu67huqVsI+G7riA9VOG7ruG7jD/huqfhu65m4bqh4bqr4bqnw6Dhu67DjeG6oWzhu4HhuqfDoOG7rsOtaG9d4buu4bupI+G6p+G7ruG7q+G6oeG6seG7riAl4bqt4buuR8OsZV3hu67DoOG6oyPhu67hu4034buuRuG6oeG6q+G6p8OgVOG7ruG7q+G6oWXhuqfDoOG7rsON4bqh4bqjNeG6p+G7rsOtI+G6o+G7riA34buu4bqnw6DhuqHhuq/hu65dPV3hu67DreG6seG6p+G6oVThu67DreG6oSThuqfhuqHhu65m4bqhZeG7ruG7jTDhuqfhu65b4bqjOeG6p+G7rsOtbuG7rkfDrCrhuqfDoOG7ruG6puG6o+G6p+G6oeG7riA24bqn4buu4bupxIPhuqfhuqHhu67DjeG6ocOsPuG6p+G7rsOt4bqhMOG6reG7riJk4bqj4buuXeG6oSzDreG7rl3huqE04buuw63huqHEkeG6p8Og4buuw63huqPhuqdU4buuIuG6o2Hhuqfhu65b4bqjNuG6p+G7rl1qI+G7rsOg4bqj4bqp4buu4bqlJeG6p+G6oeG7rsOtaDXhuqfhu65b4bqjOeG6p1Phu67DreG6ocSR4bqnw6Dhu65bPeG6reG7rl3huqHhuq3hu67DreG6ocOsw7Q34bqn4buuw61obOG7g+G6p8OgVOG7rl3huqFq4buuXT1d4buuZuG6oWzDquG6p8Og4buuw63huqM44bqnVOG7rsOtJMOs4buuw63huqHDrMO0N+G6p+G7riAj4bqnw6Dhu67huqHhuq0lw63hu64g4bq54bqnw6Dhu67DrWg14bqn4buuW+G6oznhuqfhu65b4bqjNsOt4buuIDnhu65d4bqhauG7riDhurnhuqfDoOG7rmbhuqHhuqvhuqfDoOG7rsOtaD3huqfhuqHhu67hu40k4buuXeG6qeG7ruG6tTbhu67huqHhuq0lXeG6oeG7rmkq4bqn4buuw7XDrCnDreG7rmbhuqHhu4nhu67huqHhu4dmVOG7riAq4bql4buuWyrhuq3hu64j4bqn4buuw63huq0k4bqn4buu4buNN+G7ruG6p8OgbOG7geG6o+G7ruG7jSThu67DrSThuqPhu65pKuG6p1Phu64iw6zDtOG7rsOtaMSD4buuw63huqHEkeG6p8Og4buuw63huqPhuqfhu67DouG6ozXhuqfhu67DoiVd4buu4bqn4bqhO+G6peG7rsO1w7Phu67DouG7keG7ruG6teG6r2bhu67DreG6oeG7geG6o+G7rl09XeG7rsOtxIPhuqfhuqHhu67huqHDrGXhuqfDoOG7rsO1KcOs4buuXeG6qeG7rsOt4bqhOeG7rsO1KsO04buuaCNT4buuaSHhuqfhu65pJOG6p8Og4buuw6JvXeG7rsOibOG7h+G6p8OgVOG7rmbhuqFsw6rhuqfDoOG7rsOt4bqjOOG6p+G7riA54buuXW3DrOG7ruG6oeG6uVThu65dbcOs4buu4bqnJeG6p+G7ruG6teG6oeG6o+G7rl3huqnhu67DrcSD4bqn4bqh4buu4bqhw6xl4bqnw6BV4bumL2bFqOG7pmbhu65dw6IjaWnhu5zhu6xm4bup4bqtIsO04busxajDjWg14bqn4buuICnDreG7rsOi4bqjN+G6p1Thu65dPV3hu67DreG6seG6p+G6oVThu67DreG6oSThuqfhuqHhu65m4bqhZeG7rsOt4bqhMOG6reG7riJk4bqj4buuXeG6oSzDreG7rl3huqE04buuIuG6o2Hhuqfhu65b4bqjNuG6p+G7rsOg4bqj4bqp4buu4bql4buJI+G7ruG7rcSR4bqnw6Dhu67hu6k6XVThu65oMcOt4buu4bqhJeG6o1Thu67DomVdVOG7rmkxw61U4buu4bqlbCPhu64gPVPhu67DreG6ocSR4bqnw6Dhu67DreG6o+G6p+G7ruG6teG6r2bhu67DreG6oeG7geG6o+G7riA24bqn4buuXT1d4buuXSlm4buuXeG6ocOj4bqn4bqh4buuZ8Osw7Q34bqnVOG7ruG6p8OgbOG7geG6o+G7riIo4bqn4buuIDnhu65d4bqhauG7riDhurnhuqfDoOG7rm3huqfDoOG7rmbhuqHhuqlU4buuw6DhuqMq4bql4buuw63huqHhuqM5w6zhu67DreG6oeG6ozjDreG7ruG6oSXhuqNV4bumL2bFqOG7pmbhu65dw6IjaWnhu5zhu6xm4bup4bqtIsO04busxajhurThuqHDrOG7ruG7jW9d4buu4bql4bqjN+G6p+G7ruG6p+G7i+G6o+G7rmbhuqHDoyPhu67hu6k6XeG7rsOtaOG6oznhuqfhu67hurXhuqEj4bqj4buuXT1d4buuW+G6ozjhuqfhu65m4bqhPWbhu65m4bqh4bqr4bqnw6Dhu67DrWg94bqn4bqh4buuaDHDrVThu64gKuG6peG7rlsq4bqt4buuI+G6p+G7rsOt4bqtJOG6p+G7rl3huqHhuq3hu67huqfDoGzhu4HhuqPhu64iKOG6p1Thu67huqfhuqEpw63hu67DoiThu67huqfDoGzhu4HhuqPhu67DoOG6oyRU4buuw61oM+G7ruG6p+G6oWNU4buu4bqhYl3hu65p4bqj4bqn4bqhU+G7rl3huqFq4buuIOG6ueG6p8Og4buuw61o4bqjOeG6p+G7ruG6teG6oSPhuqPhu65dPV3hu65b4bqjOOG6p+G7rmbhuqE9ZuG7rl3huqFl4bqnw6Dhu65oMcOt4buuXeG6oeG6reG7rl0ow7Thu67DrWjDqeG6p8Og4buu4buNJOG7ruG7jT7DreG7ruG6p8OsxJHhuqNV4bumL2bFqOG7pmbhu65dw6IjaWnhu5zhu6xm4bup4bqtIsO04busxajhu6s9XeG7rsOt4bqx4bqn4bqhVOG7rsOt4bqhJOG6p+G6oeG7rmbhuqFl4buu4bq14bqhw6zhu67hu41vXeG7rsONaMOs4bqnw6Dhu67hu6nhurnhu67DreG6oTDhuq3hu64iZOG6o+G7rl3huqEsw63hu65d4bqhNOG7rl09XeG7rlsq4bqn4buuw63huqPhuqfhu64ib+G7rls94bqtVOG7rl0q4bqn4bqh4buuWz3huq3hu67hu4034buu4bqlbCPhu67DouG6v+G6p1Thu65pIeG6p+G7rmkk4bqnw6Dhu65t4bqnw6Dhu65m4bqh4bqp4buu4buN4bq/4bqj4buuw6JrVOG7ruG6p8OgPmbhu67DosSpw61U4buu4bqnw6DDrMO04buuXcOq4buuw6Jr4buuZ8OsMcOtVOG7rmklw63hu67DouG7g+G7riApw61V4bumL2bFqOG7pmbhu65dw6IjaWnhu5zhu6xm4bup4bqtIsO04busxajhu6s9XeG7riDhuq8j4buuZuG6oWzDquG6p8Og4buu4bqnNcOs4buuw61oNeG6p+G7rsOtP+G6p8Og4buuXWzhu4HhuqfDoOG7rsOt4bqhxJHhuqfDoOG7rsOt4bqj4bqnVOG7rsOtaMOsw7Q34bqn4buuw63huqHEkeG6p8Og4buu4buNN+G7riLhuqNh4bqn4buuW+G6ozbhuqfhu67DreG6oeG7geG6o+G7rsOt4bqjNsOtVOG7rsOt4bqh4bqjNeG6p+G7rsOtI+G6o+G7ruG7jSThu67hurXhu5fhu67huqc/4bqnw6Dhu65t4bqnw6Dhu65m4bqh4bqp4buuaDHDreG7riA+4bqlVOG7rmgxw63hu67huqEl4bqjVOG7rsOg4bqj4bqp4buu4bqlJeG6p+G6oeG7rsOtaDXhuqfhu65b4bqjOeG6p1Thu67huqVsI+G7rsOi4bq/4bqnVOG7rsOiZV1U4buuaTHDrVThu67huqVsI+G7riA9VOG7ruG6p8OgPmbhu67DosSpw61U4buuw6Jr4buuZ8OsMcOtVOG7rmklw63hu67DouG7g+G7riApw63hu67DrWg14bqn4buuXT1d4buuZuG6oWzDquG6p8Og4buuw63huqM44bqn4buuIDnhu67huqVi4bqj4buu4bqnw6Bs4buB4bqj4buuIijhuqfhu67huqfhuqEpw63hu67DoiThu67hu4Phu67hu43hu4nhuqfDoOG7ruG6p+G7i+G6o+G7rl3huqFq4buuIOG6ueG6p8Og4buuZuG6oeG6q+G6p8Og4buuw61oPeG6p+G6oVThu67DoOG6oyrhuqXhu67DreG6oeG6oznDrOG7rsOt4bqh4bqjOMOt4buu4bqhJeG6o1Xhu6YvZsWo4bumZuG7rl3DoiNpaeG7nOG7rGbhu6nhuq0iw7Thu6zFqOG7rcOp4bqnw6Dhu67DreG6oeG7geG6o1Thu67DreG6u+G7rl3huqFtXeG7rsOtaG9d4buuWyPhuqfhu67huqfDoOG6oeG6ozXhuqXhu67DreG7i11U4buuw63huqFs4buB4bqnw6Dhu67DtcOsw7Q14bqn4buuWz3huq3hu65dPeG6reG7ruG7jTfhu67hu4w/4bqn4buuZuG6oeG6q+G6p8Og4buuw43huqFs4buB4bqnw6Dhu67DrWhvXeG7ruG7qSPhuqfhu67hu6vhuqHhurHhu64gJeG6reG7rkfDrGVd4buuw6DhuqMj4buu4buNN+G7rkbhuqHhuqvhuqfDoFThu67hu6vhuqFl4bqnw6Dhu67DjeG6oeG6ozXhuqfhu67DrSPhuqPhu67hu40k4buu4buMP+G6p+G7rmbhuqHhuqvhuqfDoOG7rkrDtOG7rlsj4bqn4buuR8OsZV3hu67DoOG6oyPhu65N4bqnw6Dhu65m4bqh4bqp4buuSW/hu65dZVThu67DjeG6oeG6ozXhuqfhu67DrSPhuqPhu67hu40k4buuw43Eg+G6peG7ruG6teG6ozbhuqXhu67hu6ttw6zhu67huqcl4bqnVS9V4bumL2bFqOG7pmbhu65dw6IjaWnhu5zhu6xmxqHDrMOt4bqh4bqtaOG7rMWow41J4bumL2bFqA==

Bình luận

Xin vui lòng gõ tiếng Việt có dấu

Tin cùng chuyên mục

Nhận thức hôm nay và hành động cho mai sau

Nhận thức hôm nay và hành động cho mai sau

Môi trường
(Baothanhhoa.vn) - Những hiện tượng thời tiết cực đoan, mực nước biển dâng hay thiên tai, bão lũ, sạt lở đất... đang gióng lên hồi chuông cảnh báo về biến đổi khí hậu (BĐKH). Trước thực trạng đó, việc nâng cao nhận thức về BĐKH cho các tầng lớp Nhân dân, đặc biệt là...
“Siết” quản lý cơ sở nuôi nhốt động vật hoang dã

“Siết” quản lý cơ sở nuôi nhốt động vật hoang dã

Môi trường
(Baothanhhoa.vn) - Hiện nay, tại Thanh Hóa, nuôi nhốt động vật hoang dã vì mục đích thương mại đã mang lại hiệu quả kinh tế cho người dân. Tuy nhiên, hoạt động này luôn tiềm ẩn nhiều nguy cơ lây lan dịch bệnh. Bởi vậy, việc nuôi nhốt, kinh doanh động vật hoang dã rất...
Khơi dậy tinh thần chủ động, trách nhiệm vì tương lai xanh

Khơi dậy tinh thần chủ động, trách nhiệm vì tương lai xanh

Môi trường
(Baothanhhoa.vn) - Trong bối cảnh biến đổi khí hậu (BĐKH) ngày càng tác động sâu rộng đến mọi mặt của đời sống xã hội, việc hình thành năng lực thích ứng với BĐKH đóng vai trò hết sức quan trọng. Xuất phát từ yêu cầu đó, Trung tâm Giáo dục BĐKH (Trường Đại học (ĐH)...
Từ bể chứa rác thải đến cánh đồng xanh, sạch

Từ bể chứa rác thải đến cánh đồng xanh, sạch

Môi trường
(Baothanhhoa.vn) - Thời gian qua, hình ảnh những cánh đồng sạch chai lọ, túi nilon hay bao bì thuốc bảo vệ thực vật (BVTV) đã dần trở nên quen thuộc. Với hơn 28.500 bể chứa rác thải được xây dựng đã góp phần thay đổi nhận thức và hành động của người dân về bảo vệ môi...
Chứng nhận tín nhiệm mạng
Việt Long Phần mềm tòa soạn
hội tụ thông minh